【讨论低压】西北太平洋热带低压WP222021
台风吧
全部回复
仅看楼主
level 12
心海😘😘😘😘😘
楼主
22W INVEST 211007 0600 17.1N 111.0E WPAC 25 999
2021年10月07日 06点10分
1
level 14
✨空明糖🍭
。
2021年10月07日 06点10分
2
Rumbia
6
2021年10月07日 06点10分
超强台风博罗依
666666
2021年10月07日 06点10分
哈哈哈哈尔时候
6
2021年10月07日 06点10分
flames🌀
6
2021年10月07日 06点10分
吧务
level 16
瑶瑶自闭中
警惕3277打吡啶牌
2021年10月07日 06点10分
4
🌀Goni🌀
扰动92W
【讨论扰动】92W-21年10月01日编
2021年10月07日 06点10分
level 15
加油中国奥运6
有可能是短命贴
2021年10月07日 06点10分
5
level 13
珠三风迷
耳灵二医醉猴德喜旺!
2021年10月07日 06点10分
6
FNV3
zs ds
2021年10月07日 07点10分
level 12
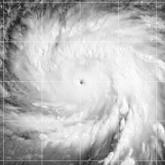
一路破浪
第一张云图
2021年10月07日 06点10分
7
超强台风博罗依
希望东中心发展的好一点,右抛物线的路径还不错。
2021年10月07日 06点10分
level 13
网红超台山竹
22W—华南水库最后的希望
2021年10月07日 06点10分
9
小林历奇
93
2021年10月07日 06点10分
level 5
2565522llk
这是92w?
2021年10月07日 06点10分
10
网红超台山竹
是
2021年10月07日 06点10分
海泰帕小队
是
2021年10月07日 06点10分
C5天鹅😘
是
2021年10月07日 07点10分
level 9
小作家😜
禧
2021年10月07日 06点10分
11
level 13
珠三风迷
JTWC升个低压 怎么CMA就难产了
2021年10月07日 06点10分
12
珠三风迷
@✨空明糖🍭
上次奥麦斯CMA可是没打电话直接私下给名字
2021年10月07日 06点10分
小作家😜
@珠三风迷
毕竟这次jma给了低压
2021年10月07日 06点10分
小作家😜
cma考虑要不要ts
2021年10月07日 06点10分
✨空明糖🍭
在和jma通电话
考虑要不要给名字
2021年10月07日 06点10分
level 11
过得喝喝酒
半天时间发展很明显
2021年10月07日 06点10分
13
CMC大胜利🌀
印度洋那个也很明显
2021年10月07日 06点10分
level 13
星空的秘密
2021年10月07日 06点10分
14
level 15
new心常冷暖
2021年10月07日 06点10分
15
珠三风迷
CMA沟通失败 两点报要出了
2021年10月07日 06点10分
小作家😜
@珠三风迷
通话失败
2021年10月07日 06点10分
星空ち
@珠三风迷
这次失败相信17点会成功的
2021年10月07日 07点10分
珠三风迷
@星空ち
不要到时候一堆人大呼:“JMA:TD”就好
2021年10月07日 07点10分
level 10
霜重月华孤
风场扫描来力
2021年10月07日 06点10分
16
小作家😜
似乎东中心闭合?
2021年10月07日 07点10分
超强台风博罗依
广东沿岸的风力还是不错的,有弱冷空气的加持。
2021年10月07日 07点10分
超强台风博罗依
该系统的最大风力在北侧,盲猜系统以北的沿岸实测应该很可观。
2021年10月07日 07点10分
小作家😜
@超强台风博罗依
吹着风,外面出大太阳
2021年10月07日 07点10分
level 13
1808玛利亚
EC明天下午巅峰989,位于海南琼海万宁近海
2021年10月07日 07点10分
17
1
2
3
4
5
6
尾页