皮肤病,求助
狗吧
全部回复
仅看楼主
level 3
水师爷
楼主
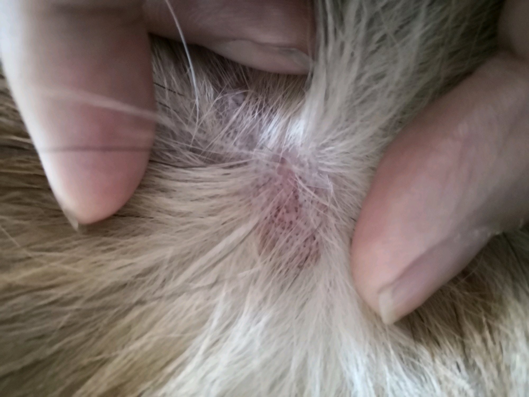
求助,狗狗身上长了好多这种皮肤病有人知道么,要怎么治疗,好多哇,之前在毛下面没发现。
2018年04月16日 01点04分
1
level 3
水师爷
楼主
2018年04月16日 01点04分
2
level 9
GloriA🌼
虫子吗?
2018年04月16日 01点04分
3
水师爷
看不到虫子,螨虫么
2018年04月16日 01点04分
GloriA🌼
@水师爷
我感觉是虫子哎。。看不清,可以买体外除虫喷剂试试,我家狗子也有过,喷一喷就好了
2018年04月16日 02点04分
水师爷
@GloriA🌼
喷了好几种药了也没见效果
2018年04月16日 02点04分
1