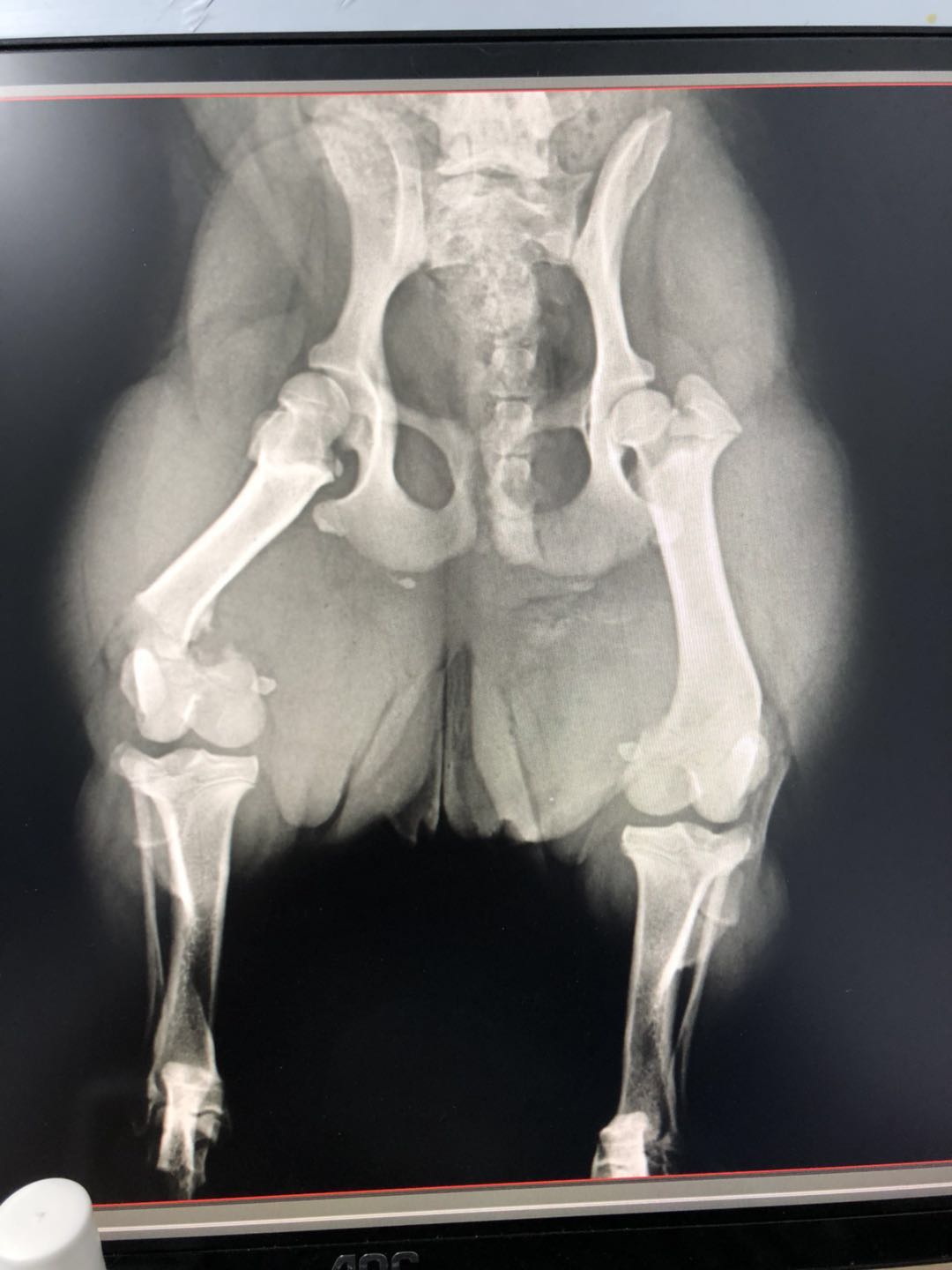
骨折完美复位的小柯基,医生们技术真到位
杭州宠物吧
全部回复
仅看楼主
level 5
宠信Pet☜
楼主
骨折完美复位的小柯基,医生们技术真到位
2018年03月26日 22点03分
1
level 1
逛吃逛吃🐶
你好,是做手术复位?还是??
2019年06月15日 12点06分
2
1