【求助】15-12-23这是猫藓嘛?突然少一块,流浪猫在家仅十天
爱猫生活吧
全部回复
仅看楼主
level 12
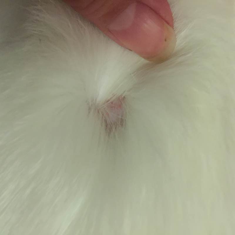
我家乖喵
楼主
2015年12月23日 11点12分
1
level 4
meai杰杰
好像是
2015年12月23日 11点12分
2
我家乖喵
啊
怎么办
2015年12月23日 11点12分
level 12
我家乖喵
楼主
它来了,我可是天天拖地的啊! 有太阳就让它晒太阳的,但是现在太阳很难得的
2015年12月23日 11点12分
3
潜水ingyear
码打的好污。。
2015年12月24日 05点12分
184122749
马赛克是个什么鬼……………我觉得我要瞎了…
2015年12月24日 06点12分
我家乖喵
回复 184122749 :手指上有伤,就打码了
2015年12月24日 07点12分
我家乖喵
回复 潜水ingyear :
2015年12月24日 07点12分
level 11
谨言Ruby
我也是,流浪猫,昨天发现突然少一块
2015年12月23日 11点12分
4
我家乖喵
我还替它白煮鸡胸肉,还换了金素的粮。只求它没病没灾的
2015年12月23日 11点12分
我家乖喵
你现在是怎么办的?
2015年12月23日 11点12分
谨言Ruby
回复 我家乖喵 :没办法,买药啊!药还没到,先去药店买了复合Vb喂着,酒精和克霉唑抹着
2015年12月23日 12点12分
我家乖喵
回复 谨言Ruby :喔 喔 喔
2015年12月23日 12点12分
level 12
xxdeng01
楼主,又见到你了……补充营养多陪他玩,另外,你体内驱虫没?不然猫吃的都喂虫了
2015年12月23日 13点12分
6
我家乖喵
嗯 因为不懂先打了疫苗,所以还木有体内驱虫,明天刚好疫苗一周,本打算驱虫的
2015年12月23日 14点12分
xxdeng01
@我家乖喵
驱虫跟治疗喵鲜不冲突啊
2015年12月23日 14点12分
我家乖喵
回复 xxdeng01 :哦,好的,明天如期驱虫,谢谢哦
2015年12月23日 15点12分
我家乖喵
回复 xxdeng01 :话说你家黑豆像动画里的露娜
2015年12月23日 15点12分
level 12
我家乖喵
楼主
我真的不知道该如何感叹:这几天它都要糊着我脸睡。今天发现猫藓了,我跟它说,我真的很喜欢你,但是病病没有好之前不上床睡好吗?反正跟它说了一大堆!乖喵居然听懂了,今天不上来了,窝在墙角自己睡呢
我感动得流泪
2015年12月23日 15点12分
7
我家乖喵
宝贝,真的爱你,快快好起来
我们相遇也是一种缘分
2015年12月23日 15点12分
level 13
xiuyang1206
真懂事!
2015年12月23日 15点12分
8
我家乖喵
你还没睡啊?是的,太懂事了,我真的没想到
2015年12月23日 15点12分
xiuyang1206
回复我家乖喵:夜猫子!
2015年12月23日 15点12分
level 12
xxdeng01
你家猫太懂事了
2015年12月24日 08点12分
9
我家乖喵
是只猫精
2015年12月24日 13点12分
level 9
购物就是买买买
维生素B,补营养,皮特分用完毛会暂时黑一块
2015年12月24日 08点12分
10
我家乖喵
谢
2015年12月24日 11点12分
level 12
我家乖喵
楼主
经历了一个月,我家喵的猫藓好了,🐈也长出来了!可喜可贺!自己纪念下
2016年01月17日 15点01分
11
我家乖喵
现在还看得出用过碘酊的地方微黄
2016年01月17日 15点01分
level 12
我家乖喵
楼主
用药经历:剪去周围一点点毛,便于用碘酊消毒,每天一次,偶尔记得就两次!一共涂了四五天吧,其中结过痂,蹭了再用碘酊;吃VB每日一片,吃了五天吧。谢天谢地,现在好了
2016年01月17日 15点01分
12
潜水ingyear
纪念下楼主好污的码。。
2016年01月17日 15点01分
我家乖喵
回复 潜水ingyear :
好 欢迎
2016年01月17日 15点01分
1