level 12

鹤立于黑、飘细长的体型,修长的腰线,夺目的体色,闪电般的攻击速度,惊人的咬合力,顽强的生命力,让人爱恨交加的毒性.......总的来说这种富有特色的蚁种还是值得大家入手的。
鹤立于黑、飘细长的体型,修长的腰线,夺目的体色,闪电般的攻击速度,惊人的咬合力,顽强的生命力,让人爱恨交加的毒性.......总的来说这种富有特色的蚁种还是值得大家入手的。
红黑细长蚁的资料挺少,百度百科也只有短短几句,我入手时翻遍饲养心得,当时也只有那款生态巢那篇,以及牧场零零散散的几篇亚克力管及木巢的饲养、森林的野采记录等等。
相较于各路大神的各种生态、仿生别墅,我则选择的是经济、方便的屌丝巢,。
为什么会选用橡胶管作为巢室,它的优点及缺点在哪里?


















相信大家最关心的就是缺点2.3
上图是某蚁商的塞子,相信大家也用得很多。


这样保证巢内空气流动,一定程度上模仿了户外的环境。
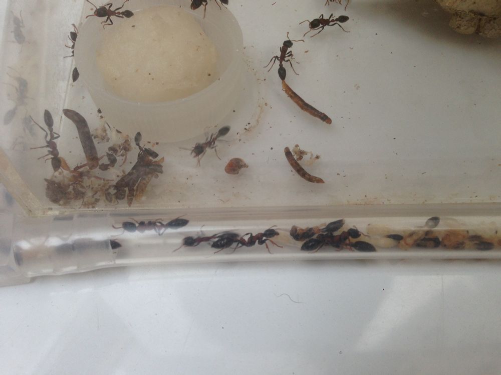
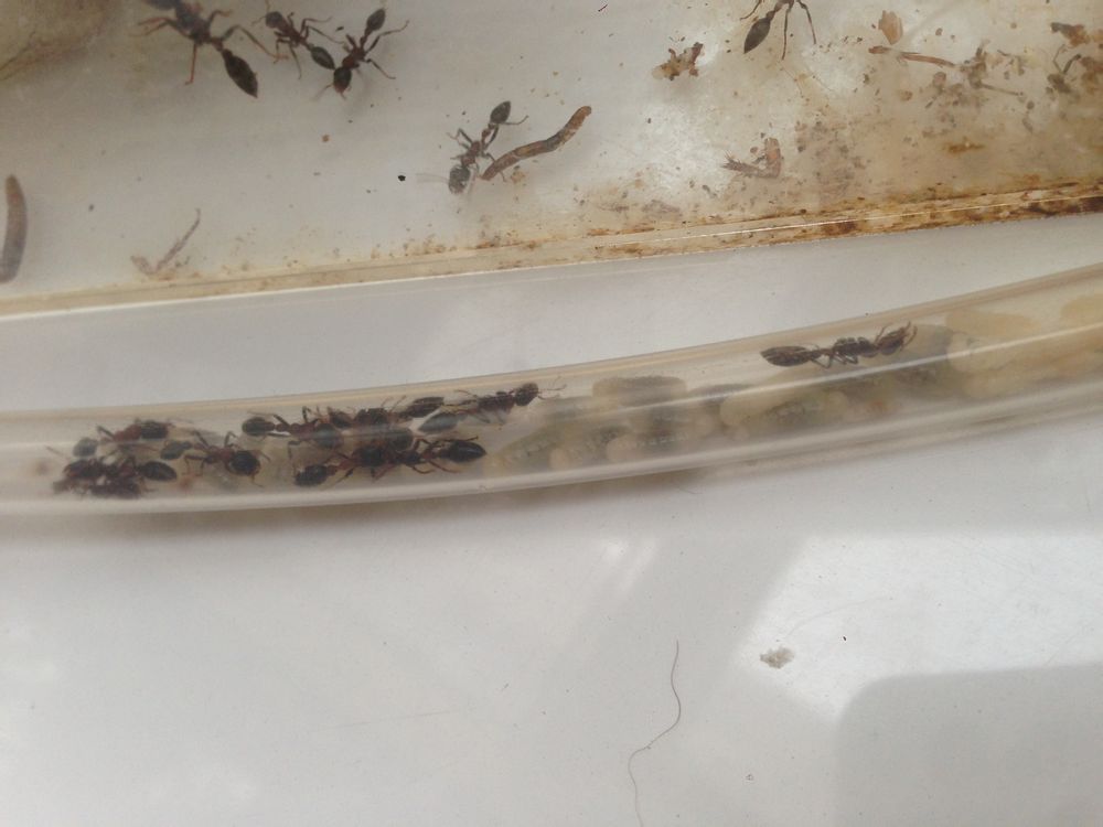
至于蚁后则安然的卧于2个接头之间狭窄的王室之中,源源不断的支持着帝国发展的野心。


















那么关于巢室这点个人小小的心得交流到这里。


















写到这里红黑老娘也该露露脸了。屁股相较于8.9月份时已经缩小了不少,生产速度已经降了下来。不过这位女强人的体型还真是不小,比我想象中要大得多。