回顾一下6月份的地图绘制


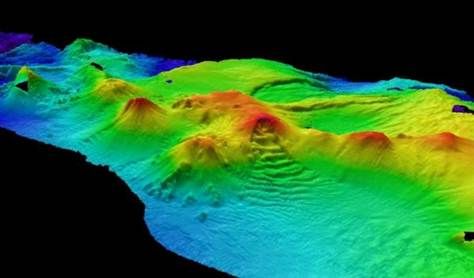
这张南极大陆东部冰盖下的地形图上显示出几处大型的峡湾地貌,这是大约3400万年前至1400万年前这一地区大规模冰川进退留下的遗迹


参与这一项目的科学家们希望他们的这一成果将有助于对南极冰盖对未来全球海平面的影响进行预测
新浪科技讯 北京时间6月19日消息,一个美英科学家小组近期使用雷达技术成功获取了地球上最后一块空白区的地图。
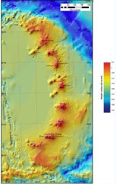
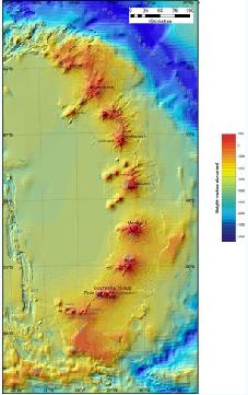
来自英国爱丁堡大学的科学家和他们来自美国德州大学的同事们一起,使用这种技术制作出了南极奥罗拉冰下盆地(Aurora Subglacial basin)的地形图。
奥罗拉冰下盆地是位于南极洲东部一块巨大的低地,整个区域都被巨厚的冰雪层掩埋,其面积甚至超过了美国德克萨斯州。
这次获得的地形图上可以分辨出一些峡湾地貌,这些峡湾的规模是地球上已知最大的类别,这样的信息将有助于人们理解南极冰封的历史。
同时他们也辨认出一些巨大的冰川切割山脉的遗迹。这些都标示出不同历史年代冰川的边界位置,有些不同时代边界之间相距达数百公里之遥。
科学小组希望他们的这份地图将有助于在计算机模型计算中揭示南极冰盖演化的历史对全球海平面升降产生的影响。
先前的研究已经显示,在大约3400万至1400万年前,南极大陆东部的冰盖曾经经历大规模的生长和消融,这样反复的后果便是全球海平面跟着出现了超过200英尺(约合61米)的升降。
自那以后,冰盖的情况开始稳定,而海平面的升降幅度也再也没有超过50英尺(约合15.2米)。
但现在,科学家们注意到这一地区的岩石表面已经低于海平面,这样势必会发生海水的渗入,从而导致其部分融化崩塌。
从太空进行的卫星观察似乎证实了这种猜测,它们观测到在冰盖边缘已经开始出现冰川消融的情况,这加深了科学界对这一问题的忧虑。
但是尽管科学家们对此表示了担忧,但他们同时也指出这样的崩塌消融不太可能会在近100年内发生。
不过他们也同时警告称,对于举行冰盖而言,哪怕是最细小的变化都有可能对全球的海平面高度造成巨大的影响。
“对于这巨大的冰盖层之下过去发生了什么,未来还将发生什么,我们几乎一无所知,而现在我们揭开了它神秘的面纱,让它展现在我们面前,”杜坎·杨(Duncan Young)说。他是德州大学奥斯丁分校地球物理学院的研究科学家,同时也是这一研究的第一作者。有关这一成果的论文已经发表在了最近一期的《自然》杂志。
他说:“我们观察到地球在远比今天温暖的地质年代冰川分布的情况是如何的。我们看到在那个时代地球上冰川的消融是剧烈的,存在大规模的表面融化现象。但最近,冰川的消融情况已经稳定的多。”
这项研究是“冰帽”(ICECAP)计划,即“南极板块中部低温层演化研究计划”的组成部分。这一大型研究计划由美国的克萨斯大学奥斯丁分校地球物理学院,英国爱丁堡大学和澳大利亚南极研究所共同实施。(晨风)